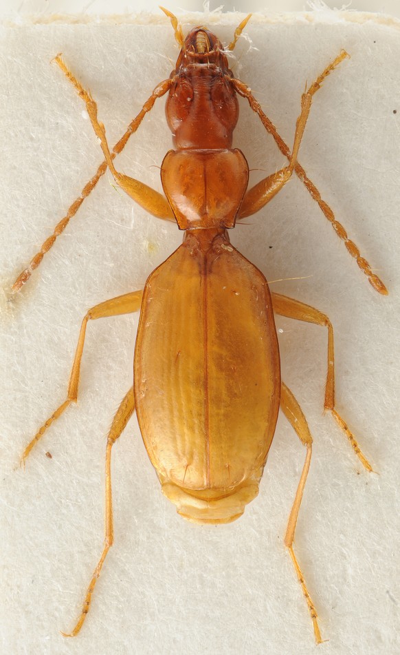
Nach wem ist wohl dieser augenlose, räuberische, braune Höhlenbewohner benannt?
Er ist ungefähr fünf Millimeter lang und hat keine Augen. Anzutreffen ist der Käfer in nur fünf Höhlen in Slowenien. Er entstammt der Familie der räuberischen Laufkäfer und seine Farbe – das als wichtigster Hinweis – ist braun. Na, nach wem könnte das Tier benannt worden sein?
Natürlich! Anophthalmus hitleri hat seinen Namen dank Adolf Hitler.
Und das kam so:
Der Käfer wurde 1933 vom deutschen Sammler Oscar Scheibel entdeckt. Scheibel hat ihn Anophthalmus hitleri (was so viel heisst wie «Der Augenlose von Hitler») getauft, aber nicht, weil er das Tier hasste, sondern den «Führer» liebte.
Diese Geste entging Hitler nicht, er hat sich in einem Schreiben bei Scheibel für die Ehre bedankt.
Dass das Tier bis heute mit seinem Namen leben muss, liegt daran, dass diese nicht mehr verändert werden dürfen. Eine Ausnahme gibt es bei religiösen Namen, die aber in erster Linie schon mal nicht vergeben werden dürfen.
Um die Arbeit der Schauspielerin für das UNHCR zu ehren, wurde diese Spinne nach ihr benannt. Na, wissen Sie, nach welcher Aktrice?
Es ist Angelina Jolie, dank der die Aptostichus angelinajolieae heisst, wie sie heisst.
Die Jolie des Tierreichs ist hinterhältig. Die Spinne attackiert seine Opfer, indem sie aus seinem Versteck herausspringt und die Beute vergiftet.
Diese Fliege lebt ausschliesslich in den Nebelwäldern in Costa Rica. Benannt wurde sie nach ...
... Bill Gates und trägt somit den schönen Namen Eristalis gatesi. Eine ähnliche Fliege wurde nach Gates Partner Paul Allen benannt, die Eristalis alleni.
Das ist ein parasitischer Krebs aus der Ordnung der Asseln. Er kommt in der Karibik vor und befällt hauptsächlich den ...
... Französischen Grunzer:
Der Krebs konnte erst 2012 identifiziert und beschrieben werden. Paul C. Sikkel, einer der Erstbeschreiber, wies darauf hin, dass die neue Art in der Karibik ebenso einzigartig sei wie seinerzeit der jamaikanische Musiker ...
... Bob Marley. Darum sein Name Gnathia marleyi.
Quelle: Wikipedia
