Hurrikan Lorenzo rollt auf Europa zu – 5 Dinge, die du wissen musst
Was genau passiert gerade?
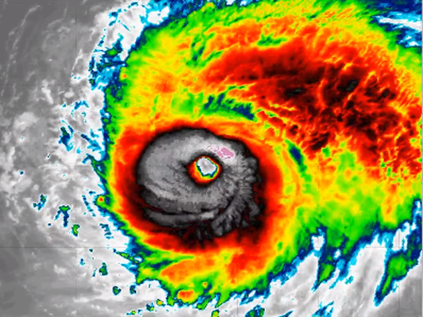
Über dem östlichen Atlantik wütet derzeit Hurrikan «Lorenzo». Der Sturm erreicht Windspitzen von knapp 300 km/h und ist somit der höchsten Kategorie 5 zuzuordnen. Lorenzo befindet sich momentan knapp 2000 Kilometer südwestlich der Azoren.
Für die nordwestlichste Inselgruppe der Azoren könnte es in der Nacht zum Mittwoch aber schon recht heftig werden mit dem Sturm infolge von #Lorenzo: https://t.co/sJEdZZRGWL
— Janek Zimmer (@JZ_Lpz) September 29, 2019
Es wird erwartet, dass er die Inseln, allen voran die nordwestliche Insel Flores, in der Nacht auf Mittwoch erreicht. Dort wird er wahrscheinlich nur noch ein Kategorie-2-Hurrikan sein, was jedoch immer noch Windböen von bis zu 200 km/h und starken Regen mit sich bringen kann. Eine weitere sehr grosse Gefahr geht von der erwarteten Sturmflut aus, diese dürfte die Küstengebiete und tiefer gelegene Orte unter Wasser setzen. Es ist von sehr grossen Schäden an Natur und Infrastruktur auszugehen.
Sind schon Menschen zu Schaden gekommen?
Ja. Der Schlepper Bourbon Rhode ist am Donnerstag in der Nähe des Hurrikans gesunken. Elf der vierzehn Besatzungsmitglieder werden zurzeit noch vermisst, drei konnten gerettet werden.
Schiffe, die sich in der Nähe des Hurrikans aufhalten, machen zurzeit einen grossen Bogen um den Sturm. Eine Karte von MarineTraffic zeigt eindrücklich, wie die Schiffe versuchen, dem Hurrikan auszuweichen.
Bei MarineTraffic kann man gut sehen, dass alle Schiffe, wenn es geht, einen weiten Bogen um den Hurrikan Lorenzo machen, das Gebiet ist aber riesig. Der Schlepper Bourbon Rhode ist dort gesunken. 11 Seeleute werden noch gesucht - Sent from my MarineTraffic app for iOS pic.twitter.com/Pd3rNZvJZ2
— Deutsche Seemannsmission @Nordkirche (@DSM_Nordkirche) September 29, 2019
Wird Lorenzo auch auf europäisches Festland treffen?
Voraussichtlich schon. Nachdem er die Azoren hinter sich gelassen hat, wird er laut aktuellen Berechnungen in Richtung britische Inseln und Irland ziehen und dort im Südwesten am Freitag als Tiefdruckgebiet noch teils stürmische Winde und grössere Niederschlagsmengen mit sich bringen.
Danach sieht es aktuell so aus, als würde der Sturm über dem Nordatlantik verschluckt werden und rasch zerfallen.
Ein Hurrikan in Europa? Wie kann das sein?
Das ist tatsächlich etwas aussergewöhnliches. Hurrikan Lorenzo entwickelte sich am 23. September aus einer tropischen Welle an der Küste Westafrikas zu einem veritablen Kategorie-5-Hurrikan. Möglich war dies aufgrund der warmen Wassertemperaturen von bis zu 28 Grad im östlichen Atlantik.
Well it’s official. #Lorenzo has made category 5 with 160 mph sustained winds. Crazy it made it almost ten degrees (600 miles) east of the previous easternmost cat 5 Hugo! https://t.co/u4tAWTcGMP pic.twitter.com/ifQ5TW3cPH
— Eric Blake 🌀 (@EricBlake12) September 29, 2019
Lorenzo gilt bereits jetzt als einer der grössten Hurrikans, die jemals im zentralen Atlantik gesichtet wurden. In vielen Hinsichten ist der Sturm aussergewöhnlich:
- Lorenzo ist der am meisten östlich gemessene Kategorie-5- Hurrikan der Geschichte – die vorherigen Spitzenreiter Isabel und Hugo waren mehr als 1000 Kilometer weiter westlich.
- Der Sturm besitzt seit gestern zudem den Rekord als stärkster Hurrikan zu dieser Jahreszeit und in diesen Breitengraden.
- Lorenzo ist der sechste Kategorie-5-Hurrikan seit 2016. Seit 1960 gab es erst 26 davon.
- 2019 ist erst das siebte Jahr seit Messbeginn mit mehr als einem Kategorie-5-Hurrikan – der andere war Dorian Anfang September.
Kann der Hurrikan auch für die Schweiz gefährlich werden?
Nein. Einen Einfluss auf das hiesige Wetter kann er jedoch durchaus haben. Roger Perret von Meteonews sagte gegenüber dem Blick, dass es momentan zwei Möglichkeiten für Lorenzo gäbe. Eine wäre, wie oben bereits beschrieben, dass der Hurrikan weiter richtig Grossbritannien und Irland zieht.
Die andere wäre ein Richtungswechsel Richtung Osten, so würde Lorenzo auf das Festland von Europa treffen – auch auf die Schweiz. Dabei würde er massiv an Geschwindigkeit verlieren und zu einem normalen Tief werden. Mit Wind und Regen müsste jedoch trotzdem gerechnet werden.
#Lorenzo has reportedly made history by becoming the strongest hurricane on record this far north and east in the Atlantic basin, according to the National Hurricane Center. Bad news for Ireland & UK into Thursday this week #vmweather pic.twitter.com/2VmkmOrR8O
— Deric Ó hArtagáinTV (@deric_tv) September 29, 2019
