5°
DE
|
FR
Schweiz
Regionen
Abstimmungen und Wahlen
Reisen
International
Fall Epstein
Ukraine-Krieg
Iran-Krieg
Deutschland
USA
EU
Russland
China
Wirtschaft
Konjunktur
Arbeitsmarkt
Unternehmen
Börse und Co
Sport
Fussball
Eishockey
Eismeister Zaugg
Eismeister-Check
Formel 1
Tennis
Velo
Ski
Unvergessen
Resultate
Leben
Gefühle
Food
Filme und Serien
Rauszeit
Unterwegs
Spass
Picdump
Fail-Dienstag
Cute News
Retro
Gerechtigkeit siegt
Dumm gelaufen
Klischeekanone
Digital
Android
Apple
Google
Microsoft
Hardware-Test
Online-Sicherheit
Wissen
History
Gesundheit
Daten
Karten
Blogs
Emma Amour
Nachtschicht
Rauszeit
Gärtner Graf
KI-Kosmos
Loading …
Down by Law
Move on up
Watts On
Rat der Weisen
MoneyTalks
Sektenblog
Work in Progress
Top Job
Zugestiegen
Madame Energie
Smart gespart
Quiz
Mini-Kreuzworträtsel
Quizz den Huber
Quizzticle
Aufgedeckt
Videos
Reportagen
Fragenbot
Wein doch
MoneyTalks
Promotionen
Gute News
Flugmodus
Smart gespart
Reise-Glück
Hol dir die App!
Startseite
Schweiz
International
Wirtschaft
Sport
Leben
Spass
Digital
Wissen
Blogs
Quiz
Videos
Promotionen
Aktuelle Themen
Deutschland
Spanien
Polizeirapport
EU
Natur
People
Italien
Analyse
Justiz
Best of watson
Zürich
Naher Osten
Donald Trump
Champions League
Gesellschaft & Politik
Eishockey
Fussball
Israel
Iran
USA
Alle Themen
Schweiz
21
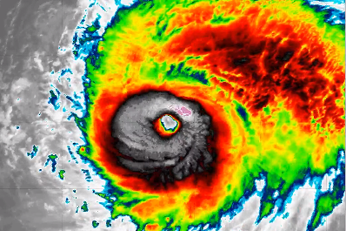
Hurrikan Lorenzo rollt auf Europa zu – 5 Dinge, die du wissen musst
von Dennis Frasch
19
Strom statt Sprit: Wo die Schweiz noch CO2-Emissionen sparen kann
von Gabriela Jordan
14
Schawi, Opfer des Rotstifts
von christian mensch
15
Wie sich Michael Lauber in der SP die Wiederwahl sicherte
von Henry Habegger
Schweiz
Abonnieren
11
25 Luxuswagen von Präsidentensohn für 23,4 Millionen in der Schweiz versteigert
So handeln Fahrlehrer mit Kundendaten von Neulenkern
von leo eiholzer
6
Polizeirapport
50'000 Franken Sachschaden bei Töffunfall am Oberalppass
0
Jans genau erklärt
Was ist Mobilisierung? Und wie gut funktioniert sie tatsächlich? Das Erklär-Video
9
video
video
28
Keine Burkas auf dem Spielplatz: Darum gibt es in diesem Funpark ein Verschleierungsverbot
von kari kälin
153
Gleiche Bussen wie für Autofahrer: SVP-Nationalrat will Velorowdys an den Kragen
0
Polizeirapport
Lenzburg: Auf Spritztour betrunken verunfallt mit Kind auf Schoss
78
Linksrutsch im Oktober und neue Transparenz-Initiative – das schreibt die Sonntagspresse
32
Das sind die besten Bilder der «historischen» Klimademo
143
Klimawandel: Die Dänen pflanzen eine Million Bäume – wieso wir Schweizer nicht?
von Patrick Toggweiler
37
Der transatlantische Sklavenhandel
von Noëmi Crain Merz
video
video
video
video
video
video
video
video
video
video
video
video
video
video
video
video
video
video
video
video
video
video
video
video
video
video
video
video
video
video
video
video
10
Kommentar
Warum ich heute an die Klima-Demo in Bern gehe
von Daniel Schurter
1
Polizei verhaftet illegal praktizierende Ärztin und ihre Helferinnen in Adlikon ZH
Liveticker
Gegen 100'000 an Klimademo – und ein SUV-Fahrer wird sich für immer an diesen Tag erinnern
284
Wie die Migros mit neuer Kamera-Software Kunden nachspioniert
von Benjamin Weinmann
75
Ronja Räubertochter und die jungen Milden – das war die Jungparteien-«Arena»
von Christoph Bernet
74
So wird die Schweiz bis 2030 CO2-neutral – wenn es nach der Unia geht
von Othmar von Matt
63
«Wem sis Klima? Euses Klima!» Erneute Streiks in Zürich und Lausanne
15
Polizeirapport
50 Jugendliche ziehen Drogenhandel über Darknet auf – Luzerner Polizei schnappt sie
0
9
#GoWote! Darum machen wir bei den Wahlen mit – was ist dein Grund?
video
video
video
video
video
video
video
video
video
video
video
video
video
video
video
video
video
video
video
video
video
video
video
video
video
video
video
video
video
video
video
video
47
Bundesrat will Strommarkt öffnen und erneuerbare Energien fördern
Wie wählen? So verschenkst du keine Stimmen
von Daniel Huber
83
Party im Bundeshaus: So feiern die Parlamentarier das Ende der Legislatur
10
video
video
«Kann Khan noch zur UBS?» – Ja, aber am ersten Arbeitstag drohen Tumulte
von Patrik Müller
22
107
SRF-Sparhammer: Schawinski hat ausgeplaudert
55
Weil die «Falschen» profitieren: SP bekämpft höheren Kinderabzug mit dem Referendum
Diese 48 Parlamentsmitglieder haben ihren letzten Tag im Bundeshaus
3
Heute und morgen ist Klima-Kampf – was du dazu wissen musst
3
Millionen-Erbe bezahlt Piratenpartei eine Anzeige auf der «20 Minuten»-Frontseite
von Christoph Bernet
50
video
video
video
video
video
video
video
video
video
video
video
video
video
video
video
video
video
video
video
video
video
video
video
video
video
video
video
video
video
video
video
video
29
Trifft Maurer bald von der Leyen? Bundesrat strebt «rasche Kontaktaufnahme» an
von Peter Blunschi
22
Das SBB-Veloparking polarisiert – das sind die Reaktionen
Polizeirapport
Auto landet nach Ausweichmanöver in Kanal
0
Alle grossen Parteien befürworten Überbrückungsrente für ü60-Arbeitslose – ausser der SVP
48
«Man kann die Panik spüren»: Wilde Spekulationen über Abgang von CS-Chef Thiam
von Patrik Müller
24
35
Trotz 54'000 Unterschriften: Ständerat vertagt Debatte über Konzernverantwortung
0
Polizeirapport
41-jährige Frau tot in Bulle FR aufgefunden – Partner in Haft
Flutwellen und Eislawinen: Was die Gletscherschmelze für die Schweiz bedeutet
von Adrian Müller
40
Ständerat lehnt Verhüllungsverbot deutlich ab
160
Polizeirapport
Auto 1 bremst vor Fussängerstreifen + Auto 2 zu spät = 2 x Totalschaden
0
0
Polizeirapport
In Muttenz und Teilen von Basel stinkts – Stoffaustritt bei Chemiefirma
17
Lobbying bis zur letzten Sekunde – Bundesanwalt Lauber warf alle(s) in die Schlacht
von Henry Habegger
Leiter von Ferienlager missbrauchte Mädchen: Jetzt muss er sechs Jahre ins Gefängnis
12
«Ein Trauerspiel» – 36'000 Unterschriften sollen Verschiebung der Kovi-Debatte verhindern
von Helene Obrist
36
Kein Geld, kein Plan: Wie die Klimastreiker in 3 Wochen eine Millionen-Zeitung erschufen
von Adrian Müller
39
0
Tamedia verkauft «Annabelle» an Medienart ohne Angabe des Preises
60
Das CS-Drama begann in Thiams Villa – mit viel Alkohol
Kommentar
Michael Lauber bleibt im Amt und ist trotzdem ein Verlierer
von Peter Blunschi
64
Polizeirapport
Angriff auf LGBT-Stand: Zürcher Stadtpolizei verhaftet Täter
0
Nationalrat schwächt Datenschutzgesetz ab
2
0
Polizeirapport
Zwei Autos in Sirnach TG in Brand gesteckt
160
12 Rappen mehr fürs Benzin: So will der Ständerat das Autofahren teurer machen
Flüchtlingshelferin Anni Lanz zieht Urteil ans Bundesgericht weiter
3
Polizeirapport
Hirsch behindert Verkehr in Altdorf und wird erschossen
0
Diese Jungpolitiker beantworten Fragen über Sex. Also, sie versuchen es 😆
11
67
Liveticker
Bundesanwalt Lauber wiedergewählt!
2
Die SP Aargau will von der «Grünen Welle» profitieren
von Eva Berger
Für Bundesanwalt Lauber geht es heute um alles – warum er auf eine Wiederwahl hoffen darf
von Henry Habegger
3
Ueli Maurer zieht Bilanz nach UN-Gipfel: Schweiz hat wichtige Rolle unter kleinen Ländern
3
Coop wirbt mit «Taten statt Worten» – verkauft neu trotzdem Prix-Garantie-Ananas
51
2
Abbau bei Personal und Programm – so will SRF-Chefin Wappler sparen
22
Vorhang zu für den Bundesanwalt? Der Fall Lauber – ein Drama in 5 Akten
von Sarah Serafini
Rentner wollen nicht an die Europaallee: Luxus-Alterswohnungen beim HB machen dicht
20
Aarauer Volk entscheidet am 24. November über Fussballstadion
17
Kommentar
Krankenkassenprämien 2020 – Endlich ein Lichtblick
von Anna Wanner
9
18
Pro und Contra
4 Grafiken zur Gesundheit in deinem Kanton – und wo du am längsten lebst
von Lea Senn
32
Liveticker
UNO-Vollversammlung: Maurer präsentiert die Schweiz als Digitalpionierin
1
…
601
602
603
604
605
…
957
Würdest du uns einer Freundin / einem Freund weiterempfehlen?
unwahrscheinlich
sehr wahrscheinlich
0
1
2
3
4
5
6
7
8
9
10
Bewerten
Mach doch bitte den Adblocker weg!
Vollnervige Pop-Up-Werbung haben wir nämlich sowieso nicht. Und von der Werbung leben hier 80 Journalist:innen.
So geht das:
Oben rechts auf das AdBlock-Symbol klicken
«Seiten dieser Domain deaktivieren» auswählen
Danke tuusig!