3°
DE
|
FR
Schweiz
Regionen
Reisen
International
Naher Osten
Ukraine-Krieg
Deutschland
USA
EU
Russland
China
Wirtschaft
Konjunktur
Arbeitsmarkt
Unternehmen
Börse und Co
Sport
Olympia 2026
Fussball
Eishockey
Eismeister Zaugg
Eismeister-Check
Formel 1
Tennis
Velo
Ski
Unvergessen
Resultate
Leben
Gefühle
Food
Filme und Serien
Rauszeit
Unterwegs
Spass
Picdump
Fail-Dienstag
Cute News
Retro
Gerechtigkeit siegt
Dumm gelaufen
Klischeekanone
Digital
Android
Apple
Google
Microsoft
Hardware-Test
Online-Sicherheit
Wissen
History
Gesundheit
Daten
Karten
Blogs
Emma Amour
Big Ben
Rauszeit
Gärtner Graf
KI-Kosmos
Loading …
Down by Law
Move on up
Watts On
Rat der Weisen
MoneyTalks
Sektenblog
Work in Progress
Top Job
Zugestiegen
Madame Energie
Smart gespart
Quiz
Quizz den Huber
Quizzticle
Aufgedeckt
Videos
Reportagen
Fragenbot
Wein doch
MoneyTalks
Promotionen
Gute News
Flugmodus
Meat and Greet
Smart gespart
Reise-Glück
Hol dir die App!
Startseite
Schweiz
International
Wirtschaft
Sport
Leben
Spass
Digital
Wissen
Blogs
Quiz
Videos
Promotionen
Aktuelle Themen
TV
Asien
Populärkultur
Portugal
Italien
Donald Trump
People
Polizeirapport
Bundesrat
Musik
Verbrechen
Justiz
Epstein-Affäre
Crans-Montana
Gesellschaft & Politik
USA
Fussball
Wintersport
Ski
Olympia 2026
Alle Themen
Mexiko
0
Kaum angelaufen, sind Stierkämpfe in Mexiko schon wieder verboten – für ein paar Tage
0
Schweres Busunglück in Mexiko fordert mindestens 19 Tote und 21 Verletzte
25
Stierkämpfe in Mexiko-Stadt nach Verbot zurück in der grössten Arena der Welt
von Amir Selim
70
Weltweite Konflikte – in diesen Ländern herrscht aktuell Krieg
von Julia Neukomm
Mexiko
Abonnieren
28
Ertrinkende Migranten: Schwere Vorwürfe an erzkonservativen texanischen Gouverneur
Stierkämpfe kehren in die grösste Arena der Welt zurück
6
«Narcos»-Schauspieler Adan Canto stirbt mit 42 Jahren
von Jennifer Doemkes
4
Mexikos Präsident entschuldigt sich für Äusserung über Transfrau
2
1
Mexikos Tequila-Exporte schrumpfen 2023 um vier Prozent
0
Mehr als 30 in Mexiko entführte Migranten befreit
0
Mehr als 30 Migranten in Mexiko nahe der US-Grenze entführt
10
2024 wird ein Superwahljahr: Wo es besonders wichtig wird
97
Marsch ins Land der Träume: Tausende Menschen aus 24 Staaten ziehen quer durch Mexiko
von Chantal Stäubli
14
Tausende Migranten starten Karawane durch Mexiko Richtung USA
98
Zeitverschwendung: Warum Selenskyjs Wünsche in Washington unerfüllt blieben
von Renzo Ruf, Washington
0
Bus stürzt in Mexiko von Brücke: Zwölf Tote und 58 Verletzte
4
Mexiko feiert Tag der Toten mit farbenfroher Parade
Der Migrationsstrom in Mexiko wird immer grösser: So sieht das aus
2
Tausende Migranten starten Karawane durch Mexiko Richtung USA
8
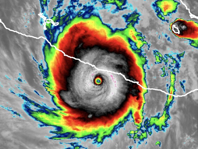
Zahl der Toten nach Hurrikan «Otis» in Mexiko steigt auf 43
0
Hurrikan in Mexiko: «Otis» hinterlässt schwere Schäden in Acapulco – mindestens 27 Tote
1
Extrem gefährlicher Hurrikan «Otis» erreicht Acapulco
4
Drei Tote nach Hurrikan «Norma» an Mexikos Pazifikküste
0
video
video
video
video
video
video
video
video
video
video
video
video
video
video
video
video
video
video
video
video
video
video
video
video
video
video
video
video
video
video
video
video
63
«Grösste Korallenbleiche der Geschichte» – Riffe vor USA werden in Rekordtempo zu Friedhöfen
von Philipp Reich
2
Menschen in Nord- und Südamerika bewundern Sonnenfinsternis – das sind die besten Bilder
Extrem gefährlicher Hurrikan «Lidia» trifft in Mexiko auf Land – mindestens ein Toter
0
Seltene Feuerkranz-Sonnenfinsternis am Wochenende zu sehen – leider nicht bei uns
3
Mindestens 18 Tote bei Unfall von Bus mit Migranten in Mexiko
0
7
Biden baut entgegen Versprechungen Grenzmauer zu Mexiko aus – Trump spöttelt
0
Wegen Morddrohungen: Erneut Konzert in mexikanischer Grenzstadt abgesagt
Mindestens neun Tote bei Einsturz von Kirchendach in Mexiko
0
Lastwagen überschlägt sich: Mindestens zehn Migranten bei Unfall in Mexiko getötet
0
Schwarzbär crasht Geburtstagsessen in Mexiko
10
video
video
0
Acht Tote in Nationalpark in Mexiko nahe Ferienort entdeckt
64
Mexikos «Aliens» mussten erneut zum Labortest antraben – das Ergebnis ist überraschend
Temperaturen von bis zu 33 Grad: Korallenbleiche in der Karibik so schlimm wie nie zuvor
18
So skurril war die Alien-Show vor dem mexikanischen Kongress
von Elia Arianna
64
US-Behörde: Frau von «El Chapo» in Kalifornien aus Haft entlassen
0
video
video
video
video
video
video
video
video
video
video
video
video
video
video
video
video
video
video
video
video
video
video
video
video
video
video
video
video
video
video
video
video
91
Ufologe präsentiert «echte Aliens» vor dem mexikanischen Kongress
0
«Verfassungswidrig»: Abtreibungen dürfen in Mexiko jetzt nicht mehr strafbar sein
Flugzeug stürzt bei «Gender Reveal Party» in Mexiko ab – Video zeigt Schockmoment
21
video
video
Teilstück der Berliner Mauer als Mahnmal in Mexiko aufgestellt
2
Mexikanische Marine beschlagnahmt bei zwei Aktionen 4,4 Tonnen Kokain
3
video
video
6
«Superfund» in Mexiko-Stadt: Bedeutende Azteken-Opfergabe entdeckt
0
Mindestens 16 Tote bei Busunfall in Mexiko
Hilary erreicht Kalifornien – Menschen aus Flüssen gerettet
0
130 Kilometer pro Stunde: Hurrikan Hilary zieht an Mexikos Küste entlang
0
Pazifik-Hurrikan Hilary soll in Mexiko und USA auf Land treffen
4
18
Hurrikan «Hilary»: Warnungen vor «katastrophalen Überschwemmungen» in den USA und Mexiko
46
Vor dem Aussterben: Von diesem netten Kerlchen gibt es nur noch 10 Exemplare
Wichtige Regel in Bidens Migrationspolitik für ungültig erklärt
0
Ölaustritt im Golf von Mexiko über 400 Quadratkilometer – «völlige Intransparenz»
6
Schiffbrüchiger mit Hund nach drei Monaten 2200 Kilometer vor Küste gerettet
8
1
13 Polizisten und Beamte bei einem Protest in Mexiko als Geiseln genommen
0
Junger Schweizer Tourist in Hotel in Mexiko tot aufgefunden
16 entführte Sicherheitsbeamte in Südmexiko wieder frei
0
Extreme Hitze fordert mehr als 100 Menschenleben in Mexiko
3
Warnung vor Hurrikan «Beatriz» in Mexiko
0
0
Nach 9 Jahren: 8 Soldaten wegen in Mexiko verschleppter Studenten verhaftet
1
Eine Viertelmillion Menschen auf Pride-Parade in Mexiko-Stadt
Überreste von vermissten Callcenter-Arbeitern in Mexiko identifiziert
2
Mexiko wählt Gouverneure - historischer Machtwechsel möglich
1
45 Plastiksäcke mit menschlichen Überresten in Mexiko entdeckt
2
0
Zehn mutmassliche Kriminelle bei Schiesserei in Mexiko getötet
18
Vergewaltiger erwürgt und zerstückelt: Frau in Mexiko muss nun doch nicht ins Gefängnis
Eindrückliche Aufnahmen – Vulkan in Mexiko spuckt weiter Asche
2
video
video
Ascheregen rund um Vulkan: Etwa 900 Schulen in Mexiko geschlossen
1
Sechs Tote bei privatem Fussballspiel im Park in Mexiko
0
2
Umstrittene Abschiebepraxis in den USA beendet - Andrang an Südgrenze
video
video
video
video
video
video
video
video
video
video
video
video
video
video
video
video
video
video
video
video
video
video
video
video
video
video
video
video
video
video
video
video
15
Zum Cinco de Mayo gibt's Cocktails, Snacks und – OH JA – Tacos!
von Oliver Baroni
1
2
3
4
5
…
12
Würdest du uns einer Freundin / einem Freund weiterempfehlen?
unwahrscheinlich
sehr wahrscheinlich
0
1
2
3
4
5
6
7
8
9
10
Bewerten
Mach doch bitte den Adblocker weg!
Vollnervige Pop-Up-Werbung haben wir nämlich sowieso nicht. Und von der Werbung leben hier 80 Journalist:innen.
So geht das:
Oben rechts auf das AdBlock-Symbol klicken
«Seiten dieser Domain deaktivieren» auswählen
Danke tuusig!